> Te koop > Winksele > Grond > Mooie zuidgerichte bouwgrond voor HOB, 6a35ca

Mooie zuidgerichte bouwgrond voor HOB, 6a35ca

Een pand van Ifac Service

Volledige aanbod

Overzicht


  • 335 m² bewoonbaar
  • 635 m² grond
  • 1 Tuin
  • P-score D Overstromingsgevaar perceel

Beschrijving


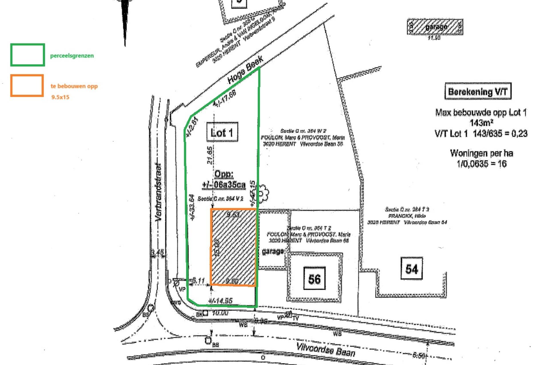
Heel gunstig gelegen, zuidgerichte bouwgrond met een oppervlakte van 6a35ca.  Gelegen tussen Herent en Winksele niet ver van het dorp van Winksele met al zijn voorzieningen (school, winkel, apotheek, sport, ...).  Bushalte vlakbij en treinstation in Veltem-Beisem.  

Bouwvoorschriften:
- ééngezinswoning in halfopen verband, complementaire bedrijvigheid toegelaten
- te bebouwen opp 9,5mx15m op het gelijkvloers, 9,5mx12m op de verdieping
- hellend dak 25° - 50° of gebogen dak
- bouwvrije strook links 5m
- kroonlijsthoogte max 6m
- garage in het hoofdgebouw
- tuinhuis max 12m²

Plannen en alle verkavelingsvoorschriften zijn beschikbaar op www.ifacservice.be
De verkaveling dateert van 30.03.2009 waardoor in maart 2024 eventuele afwijkingen op de verkavelingsvoorschriften kunnen toegestaan worden (verkaveling ouder dan 15jaar).  
Perceel niet gelegen in risicozone voor overstromingen.  
Overstromingsrapport perceelscore: D.

Voor meer informatie of een bezoek ter plaatse - neem gerust contact met ons op.

Energie


  • E-peil: E0
  • Beglazing: Onbekend

Op de kaart


map placeholder

Financieel


Prijs € 165.000
Kadastraal inkomen (niet geïndexeerd) € 0
Kadastraal inkomen (geïndexeerd) € 0

Berekening kosten


Je aankoopkosten? Die heb je snel berekent via de knop hieronder.

Bijkomende info


Gebouw
Bouwcertificaat Nee
Perceel
Diepte (m) 47
Breedte (m) 14
Overstromingsgevoelig Geen
P-score D
Voorkeurrecht Nee
Totale oppervlakte (m²) 635
Vergunning
Vergunning Geen beschikbaar
Verkavelingsvergunning Vergunning beschikbaar
Uitrusting
Investeringspand Nee
Rioolaansluiting Nee
Gasaansluiting Nee
Wateraansluiting Nee
Elektriciteitsaansluiting Nee
TV aansluiting Nee
Internetaansluiting Nee
Telefoonaansluiting Nee

Een pand van


Ifac Service
Logo van makelaar: Ifac Service
Ifac Service Immobiliën
Ifac Service werd opgericht in 1978 en is vandaag één van de grootste kantoren in de regio Brussel-Leuven. Ons kantoor in het centrum van Tervuren telt momenteel een twintigtal medewerkers, onze aanpak is ondanks onze groei hartelijk en persoonlijk gebleven. Heeft u vragen omtrent verkopen, verhuren, vastgoedbeheer en/of nieuwbouw? Dan kan u steeds bij ons terecht.
Logo van makelaar: Ifac Service
VILVOORDSEBAAN 56 A WINKSELE
Mooie zuidgerichte bouwgrond voor HOB, 6a35ca foto {{pictureIndex}}

Mooie zuidgerichte bouwgrond voor HOB, 6a35ca

€ 165.000

Vilvoordsebaan 56/a - 3020 Winksele

Bezoek het pand

Vul jouw contactgegevens hieronder in en de makelaar contacteert je.

Leer meer over vastgoed

11 June 2025
Huis kopen met bouwovertreding? Dit moet je weten
11 May 2025
Renoveren? Vraag je Mijn VerbouwPremie aan
22 April 2025
Je allereerste renovatieproject selecteren én budgetteren: met de praktische hulp van Spotto
17 February 2025
Levenslang wonen: slaapkamer inrichten voor nieuwe invulling