> Te koop > ERPS-KWERPS > Grond > Knappe bouwgrond voor halfopen bebouwing

Knappe bouwgrond voor halfopen bebouwing

Een pand van Immo Liv'it

Volledige aanbod

Overzicht


  • 591 m² grond

Beschrijving


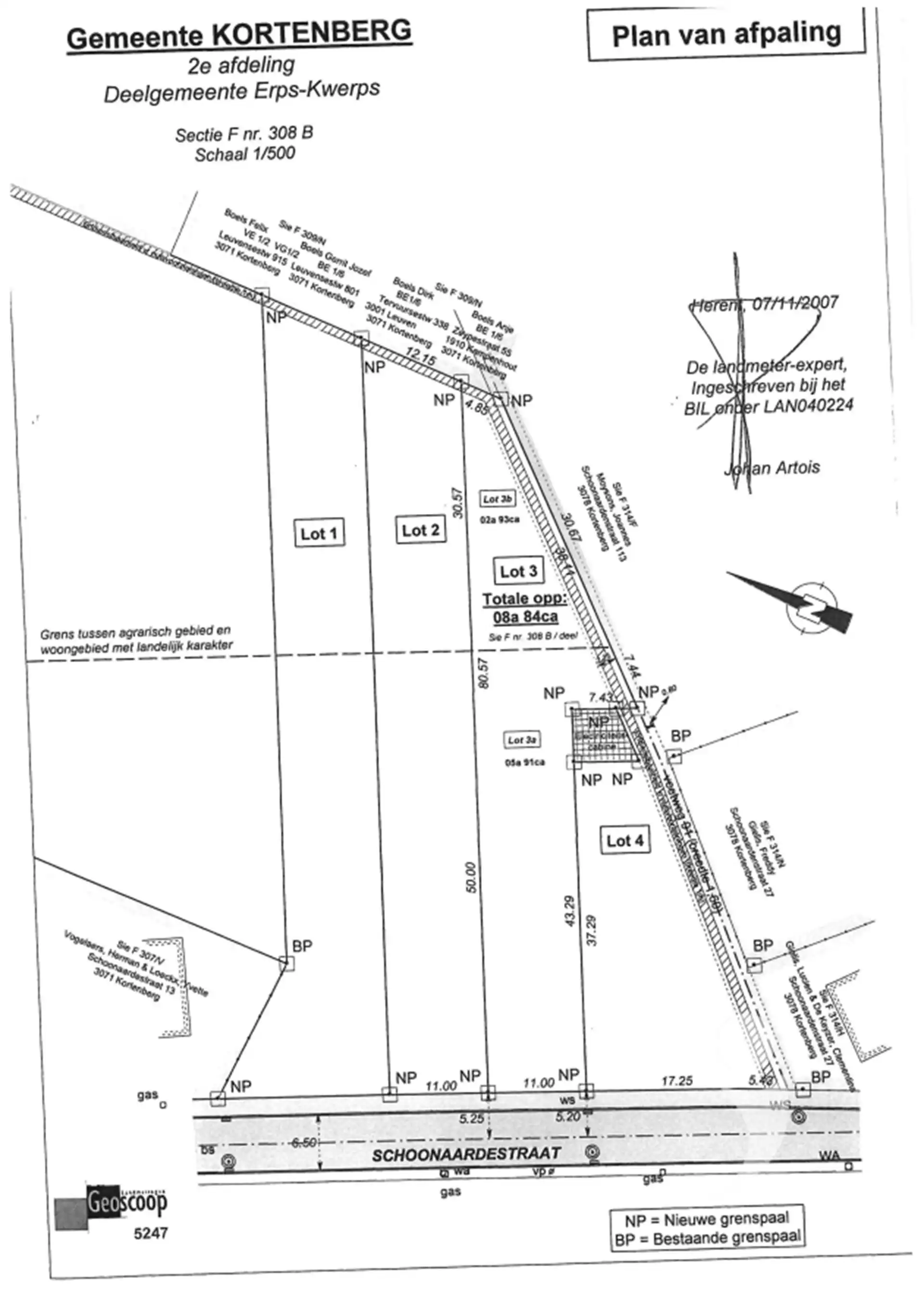
Op zoek naar een bouwgrond tussen Leuven en Brussel, maar toch in een rustige, groene omgeving? Deze knappe bouwgrond voor halfopen bebouwing heeft een perceeloppervlakte van 5a 91ca en is gelegen in de Schoonaardestraat te Kortenberg.
De ligging is ideaal, met een uitstekende bereikbaarheid en op slechts enkele minuten van scholen, winkels en belangrijke invalswegen.
De tuin van dit perceel heeft een noordoostelijke oriëntatie.
Er kan een woning gebouwd worden met een gevelbreedte van 8 meter. Op de gelijkvloerse verdieping mag er tot 15 meter diep gebouwd worden en op de eerste verdieping tot 12 meter diep.
Een bijgebouw is toegestaan en mag ook worden gebruikt als garage.
Interesse in deze bouwgrond? Contacteer ons op 016 15 31 15 of info@immolivit.be

 

Energie


  • E-peil: E0
  • Beglazing: Onbekend

Op de kaart


map placeholder

Financieel


Prijs € 205.000
Kadastraal inkomen (niet geïndexeerd) € 0
Kadastraal inkomen (geïndexeerd) € 0

Berekening kosten


Je aankoopkosten? Die heb je snel berekend via de knop hieronder.

Bijkomende info


Gebouw
Bouwcertificaat Nee
Perceel
Diepte (m) 50
Breedte (m) 11
Overstromingsgevoelig Geen
P-score B
Voorkeurrecht Ja
Totale oppervlakte (m²) 591
Oriëntatie tuin Noordoost
Vergunning
Vergunning Aanvraag ingediend
Verkavelingsvergunning Vergunning beschikbaar
Uitrusting
Investeringspand Nee
Rioolaansluiting Nee
Gasaansluiting Nee
Wateraansluiting Nee
Elektriciteitsaansluiting Nee
TV aansluiting Nee
Internetaansluiting Nee
Telefoonaansluiting Nee

Een pand van


Immo Liv'it
Logo van makelaar: Immo Liv'it
Liv’it, dat is uw betrouwbare partner in vastgoed
Liv’it is meer dan alleen een vastgoedkantoor. Waarom? Vooreerst zijn wij uw lokale, ervaren vastgoedpartner voor het verhuren en/of verkopen van uw eigendom. Daarnaast hebben we een ruim tienkoppige ploeg van vastgoedadviseurs die u advies op maat geven betreft projectgronden, nieuwbouw of investeringsvastgoed. Als vastgoed-expert beschikken we bovendien over de nodige kennis en expertise, en staan we u bij met de juiste raad. Daarenboven zijn we de rentmeester die uw vastgoedportefeuille beheert zodat u zonder zorgen kan genieten van een structureel uitgebouwde vastgoedportefeuille met een optimaal rendement. Een goede langetermijn relatie is voor ons van cruciaal belang. Immokantoor Liv’it is gevestigd in Herent en actief in de ruime omgeving van Leuven en het Hageland. Dankzij onze wijdverspreide, doch lokale verankering kan ons vastgoedkantoor jou alles bieden om je te begeleiden in de complexe vastgoedmarkt, en dat op een heel persoonlijke manier.
Logo van makelaar: Immo Liv'it
SCHOONAARDESTRAAT 19 KORTENBERG
Knappe bouwgrond voor halfopen bebouwing foto {{pictureIndex}}

Knappe bouwgrond voor halfopen bebouwing

€ 205.000

Schoonaardestraat 19 - 3071 ERPS-KWERPS

Bezoek het pand

Vul jouw contactgegevens hieronder in en de makelaar contacteert je.

Leer meer over vastgoed

24 November 2025
Uitgezocht voor jouw gemeente: Hoeveel stijgt de waarde van je woning door een renovatie?
22 October 2025
Hoeveel kan ik lenen om een huis te kopen?
11 June 2025
Huis kopen met bouwovertreding? Dit moet je weten
11 May 2025
Renoveren? Vraag je Mijn VerbouwPremie aan