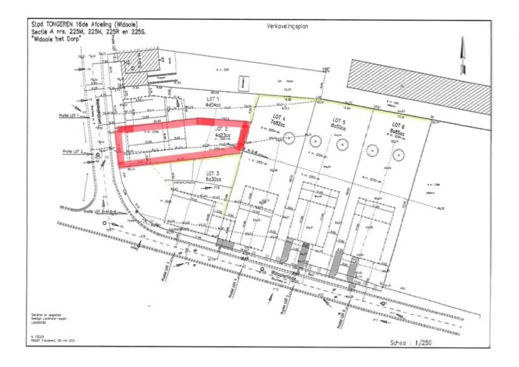
Bouwgrond van 423 m² voor half open bebouwing met grote tuin in Widooie (Tongeren ) met oostelijke oriëntatie
€ 87.000
Een pand van Albert Diepenbeek
Favoriet
Jouw zoektocht
Jouw scoretabel voor dit pand
Aan het laden...
Jouw geplande bezichtigingen
Aan het laden...
Overzicht
- 423 m² grond
Beschrijving
In het pittoreske Widooie ligt een prachtig perceel van423m² voor een half-open bebouwing. De bouwgrond is ideaal voor wie op zoek is naar een leuke tuin en voldoende privacy. De ligging nabij Tongeren is ook een groot pluspunt. Tongeren is een gezellige stad met een rijke geschiedenis en een bruisend centrum. Dit is een unieke kans om een stukje paradijs te creëren in een van de mooiste delen van Limburg.
In het pittoreske Widooie ligt een prachtig perceel van423m² voor een half-open bebouwing. De bouwgrond is ideaal voor wie op zoek is naar een leuke tuin en voldoende privacy. De ligging nabij Tongeren is ook een groot pluspunt. Tongeren is een gezellige stad met een rijke geschiedenis en een bruisend centrum. Dit is een unieke kans om een stukje paradijs te creëren in een van de mooiste delen van Limburg.
Energie
Op de kaart

Financieel
| Prijs |
|---|
Berekening kosten
Je aankoopkosten? Die heb je snel berekend via de knop hieronder.
Bijkomende info
Perceel
| Overstromingsgevoelig | Geen |
|---|---|
| P-score | A |
| Voorkeurrecht | Nee |
| Totale oppervlakte (m²) | 423 |
Vergunning
| Vergunning | Vergunning beschikbaar |
|---|---|
| Verkavelingsvergunning | Vergunning beschikbaar |
| Bouwovertreding | Geen |
| Bouwovertreding dagvaardiging | Geen |
| Type gebied | Landelijk |
Een pand van
Albert Diepenbeek
Albert is jouw no-nonsense partner in residentieel vastgoed en dit vanuit onze 10 lokaal verankerde kantoren in Vlaanderen!
Bij ons kom je thuis!
Albert is jouw no-nonsense partner in residentieel vastgoed en dit vanuit onze 10 lokaal verankerde kantoren in Vlaanderen!
Of het nu aankoop, verkoop, huur, verhuur of andere vastgoed gerelateerde vragen betreft, ons ervaren en gepassioneerd team van experten staat voor je klaar!
Bij Albert geen overhaaste aanpak maar een oprechte investering in elke klant, elk dossier, elke keer opnieuw. We always go the extra mile zodat we een kwalitatief resultaat en persoonlijke service kunnen bieden en garanderen.
Benieuwd wat jouw eigendom waard is? Bij Albert kan je terecht voor een gratis en vrijblijvende schatting in één van onze kantoren.
Aarzel niet en contacteer ons vandaag nog geheel vrijblijvend via familie@albert.immo of 0800 252 37. Wij ondersteunen en ontzorgen jou graag op een transparante, authentieke en persoonlijke wijze!
Albert is jouw no-nonsense partner in residentieel vastgoed en dit vanuit onze 10 lokaal verankerde kantoren in Vlaanderen.
8288341
Leer meer over vastgoed
23 March 2026
Op Spotto zoeken als een pro: 10 slimme tips
21 March 2026
Hoeveel kan ik lenen om een huis te kopen?
01 March 2026
Wanneer heb ik een bouwvergunning of omgevingsvergunning nodig?
17 February 2026