Nieuw
Bouwgrond met vergunning
€ 199.000
Een pand van Agence Vanbeckevoort
Overzicht
- 53 m² grond
Overstromingsgevaar gebouw
Overstromingsgevaar perceel
Beschrijving
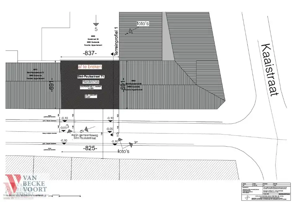
Bouwgrond te koop gelegen in het historisch hart van Oostende, nabij Visserskaai, station, horeca en de grote winkelstraten.
Grondoppervlakte meet 53m².
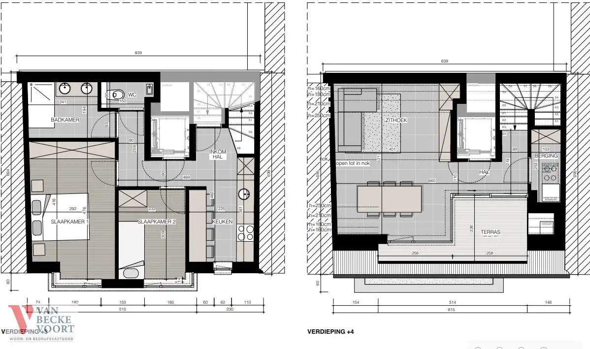
Er is reeds een vergunning verleent voor het bouwen van een meergezinswoning met twee duplexappartementen:
Gelijkvloerse verdieping:
- fietsenberging, twee privatieve bergingen en een ruimte voor poetsgerief.
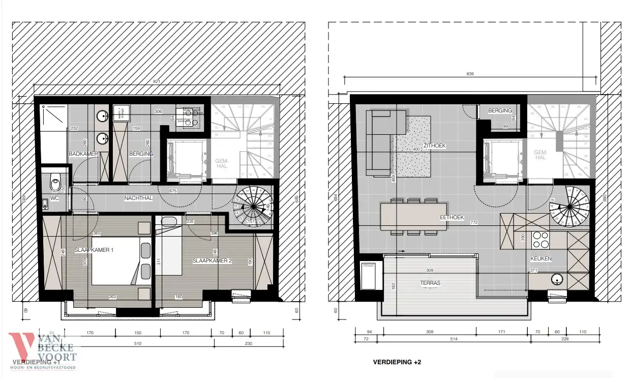
Duplex 1 (94m²):
- eerste verdieping: twee slaapkamers, badkamer, toilet en berging;
- tweede verdieping: living, open keuken, ruim terras (7,20m²) en een berging.
Duplex 2 (95m²):
- derde verdieping: badkamer, twee slaapkamers en de keuken.
- vierde verdieping: ruime open leefruimte, berging en terras (8m²). De keuken kan ook op dit verdiep geïntegreerd worden.
Ideaal geschikt voor investeerders, (deels) eigen gebruik of bouwheren die snel willen schakelen (gezien de vergunning reeds werd bekomen, kan er snel overgegaan worden tot bouwen en verkopen).
Grondoppervlakte meet 53m².
Er is reeds een vergunning verleent voor het bouwen van een meergezinswoning met twee duplexappartementen:
Gelijkvloerse verdieping:
- fietsenberging, twee privatieve bergingen en een ruimte voor poetsgerief.
Duplex 1 (94m²):
- eerste verdieping: twee slaapkamers, badkamer, toilet en berging;
- tweede verdieping: living, open keuken, ruim terras (7,20m²) en een berging.
Duplex 2 (95m²):
- derde verdieping: badkamer, twee slaapkamers en de keuken.
- vierde verdieping: ruime open leefruimte, berging en terras (8m²). De keuken kan ook op dit verdiep geïntegreerd worden.
Ideaal geschikt voor investeerders, (deels) eigen gebruik of bouwheren die snel willen schakelen (gezien de vergunning reeds werd bekomen, kan er snel overgegaan worden tot bouwen en verkopen).
Energie
- E-peil: E0
- Beglazing: Onbekend
Op de kaart

Financieel
| Prijs | |
|---|---|
| Kadastraal inkomen (niet geïndexeerd) | € 115 |
Berekening kosten
Je aankoopkosten? Die heb je snel berekent via de knop hieronder.
Bijkomende info
Gebouw
| Bouwcertificaat | Nee |
|---|
Perceel
| Breedte (m) | 8 |
|---|---|
| Overstromingsgevoelig | Geen |
| P-score | D |
| Totale oppervlakte (m²) | 53 |
Vergunning
| Verkavelingsvergunning | Geen beschikbaar |
|---|
Uitrusting
| Investeringspand | Nee |
|---|---|
| Rioolaansluiting | Ja |
| Gasaansluiting | Nee |
| Wateraansluiting | Nee |
| Elektriciteitsaansluiting | Nee |
| Internetaansluiting | Nee |
| Telefoonaansluiting | Nee |
Een pand van
Agence Vanbeckevoort
Vanbeckevoort - Immo Oostende
Al drie generaties lang schuimt de familie Vanbeckevoort het vastgoedlandschap in Oostende af. Met bijzondere voorliefde voor bedrijfs- en residentiële panden bouwde het immo-kantoor een sterke expertise uit. Verhuren, verkopen, overnemen of een pand beschikbaar? Vanbeckevoort gaat voluit voor uw dossier. Van marktconforme schatting en de zoektocht naar de juiste kandidaat tot het opstellen en ondertekenen van het contract. Zodat uw vastgoeddromen maximale zuurstof krijgen.
Sint-Paulusstraat 71
Leer meer over vastgoed
24 November 2025
Uitgezocht voor jouw gemeente: Hoeveel stijgt de waarde van je woning door een renovatie?
22 October 2025
Hoeveel kan ik lenen om een huis te kopen?
11 June 2025
Huis kopen met bouwovertreding? Dit moet je weten
11 May 2025