Zonnig perceel bouwgrond naast het Lozerbos
€ 355.000
Een pand van Entree
Overzicht
- 1951 m² grond
- 1 Tuin
Beschrijving
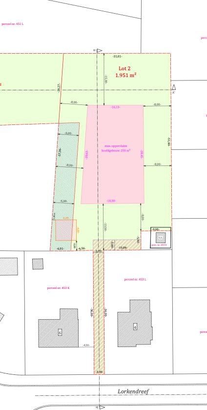
Op zoek naar een unieke plek om uw droomwoning te bouwen? Dit prachtig gelegen perceel van 1.951 m² bevindt zich in tweede bouwlijn, in een uiterst rustige en stille wijk, pal naast het natuurgebied Lozerbos. Hier woont u in het groen, met alle rust en privacy, en toch op een vlot bereikbare locatie.
Kenmerken:
Perceel van 1.951 m²
Bestemming: ééngezinswoning (open bebouwing)
Bouwvoorschriften:
Er kan een gelijkvloerse woning op gebouwd worden (zonder verdieping).
Kroonlijsthoogte: 3 m
Plat dak
Maximale bebouwde oppervlakte: 250 m²
Inplanting volgens verkavelingsplan
Mogelijkheid tot plaatsen van een carport en woningbijgebouw
Geen bouwverplichting!
Een zonnig perceel in een uitzonderlijke, groene omgeving. Ideaal voor wie houdt van rust, natuur en een woning op maat.
Kenmerken:
Perceel van 1.951 m²
Bestemming: ééngezinswoning (open bebouwing)
Bouwvoorschriften:
Er kan een gelijkvloerse woning op gebouwd worden (zonder verdieping).
Kroonlijsthoogte: 3 m
Plat dak
Maximale bebouwde oppervlakte: 250 m²
Inplanting volgens verkavelingsplan
Mogelijkheid tot plaatsen van een carport en woningbijgebouw
Geen bouwverplichting!
Een zonnig perceel in een uitzonderlijke, groene omgeving. Ideaal voor wie houdt van rust, natuur en een woning op maat.
Energie
- Verwarming: Geen
- Beglazing: Onbekend
Op de kaart

Financieel
| Prijs | |
|---|---|
| Kadastraal inkomen (niet geïndexeerd) | € 0 |
| Kadastraal inkomen (geïndexeerd) | € 0 |
Berekening kosten
Je aankoopkosten? Die heb je snel berekent via de knop hieronder.
Bijkomende info
Gebouw
| Is beschermd | Nee |
|---|
Perceel
| Overstromingsgevoelig | Geen |
|---|---|
| P-score | A |
| Voorkeurrecht | Nee |
| Totale oppervlakte (m²) | 1951 |
Vergunning
| Vergunning | Geen beschikbaar |
|---|---|
| Verkavelingsvergunning | Vergunning beschikbaar |
| Bouwovertreding dagvaardiging | Geen |
Uitrusting
| Meerdere eigenaars | Nee |
|---|---|
| Rioolaansluiting | Ja |
| Gasaansluiting | Ja |
| Wateraansluiting | Ja |
| Elektriciteitsaansluiting | Ja |
| TV aansluiting | Nee |
| Internetaansluiting | Nee |
Een pand van
Entree
We like to move people
Ons team van gepassioneerde en deskundige vastgoedmakelaars staat klaar om u te begeleiden bij elke stap van uw vastgoedreis.
We staan klaar om u te helpen bij een van de belangrijkste beslissingen in uw leven. Neem vandaag nog contact met ons op en ervaar zelf de persoonlijke en professionele service van Entree.
2931 - 2509 -FC TK
Leer meer over vastgoed
24 November 2025
Uitgezocht voor jouw gemeente: Hoeveel stijgt de waarde van je woning door een renovatie?
22 October 2025
Hoeveel kan ik lenen om een huis te kopen?
11 June 2025
Huis kopen met bouwovertreding? Dit moet je weten
11 May 2025