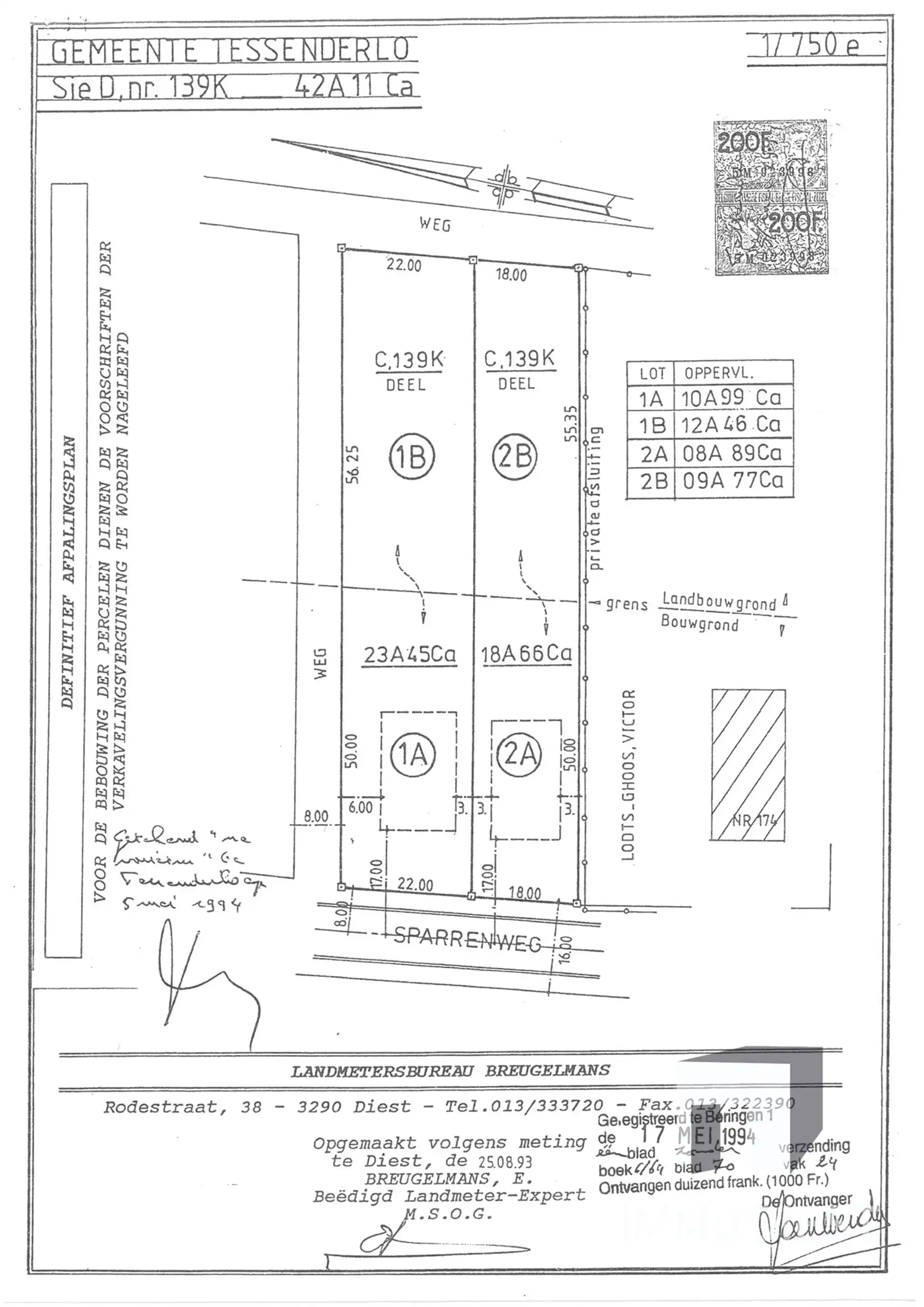
Bouwgrond openbebouwing 18,66are
€ 169.000
Een pand van Immo Tessenderlo
Jouw zoektocht
Overzicht
- 348 m² bewoonbaar
- 1866 m² grond
Beschrijving
BOUW HIER UW WONING EN GENIET VAN DE NATUURPRACHT!!
Ontdek deze prachtige bouwgrond van 1.866 m², ideaal gelegen voor wie houdt van rust en natuur, maar toch vlotte verbindingen belangrijk vindt. Met een perceelbreedte van 18 meter biedt dit terrein tal van mogelijkheden voor het realiseren van jouw droomwoning.
Ligging en omgeving:
- Gelegen aan de N174, met gemakkelijke toegang tot omliggende gemeenten.
- Slechts 5 km van het centrum van Tessenderlo-Ham, 6,4 km van het centrum van Laakdal en op 7,4 km van de oprit naar de E313 richting Antwerpen.
- Diest bereik je op slechts 9,8 km.
- De bouwgrond ligt nabij het natuurreservaat Gerhagen en is omringd door bosrijke gebieden en weilanden. Ideaal voor natuurliefhebbers en wandelaars.
Troeven van het perceel:
- Zuidoostelijke oriëntatie aan de achterzijde, perfect voor ochtend- en middagzon in de tuin.
- Het perceel grenst aan twee bestaande woningen, wat privacy en een gezellige buurt garandeert.
- Een bos ligt direct achter het perceel, dat ook via de achterzijde bereikbaar is ideaal voor wandelingen of recreatie.
Bouwvoorschriften:
- Straatbreedte van ca. 18 m;
- Gevelbreedte mogelijk van ca. 12m;
- Een bouwoppervlakte gelijkvloers van ca. 204m²;
- Maximale bouwdiepte van 17 meter gelijkvloers en 12m op verdieping;
- Maximum 2 bouwlagen;
- Zijdelingse bouwvrije stroken van minstens 3 meter;
- Bouwlijn 17 meter uit wegas;
- Dakvorm hellend;
Samengevat: Deze bouwgrond combineert een strategische ligging met rust en natuur. Of je nu houdt van buitenactiviteiten, of gewoon op zoek bent naar een plek waar je tot rust kan komen, hier vind je het allemaal. Dankzij de nabijheid van belangrijke invalswegen en het centrum van omliggende steden geniet je van het beste van beide werelden.
Interesse? Aarzel niet en neem vandaag nog contact op voor meer informatie of een bezoek ter plaatse!
Bel Immodiest 013/31.25.22
Energie
- E-peil: E0
- Beglazing: Onbekend
Op de kaart

Financieel
| Prijs | |
|---|---|
| Kadastraal inkomen (niet geïndexeerd) | € 10 |
| Kadastraal inkomen (geïndexeerd) | € 22 |
Berekening kosten
Je aankoopkosten? Die heb je snel berekend via de knop hieronder.
Bijkomende info
Gebouw
| Bouwcertificaat | Nee |
|---|
Perceel
| Diepte (m) | 105 |
|---|---|
| Breedte (m) | 18 |
| Overstromingsgevoelig | Geen |
| P-score | A |
| Voorkeurrecht | Ja |
| Totale oppervlakte (m²) | 1866 |
| Oriëntatie tuin | Oost |
Vergunning
| Vergunning | Geen beschikbaar |
|---|---|
| Verkavelingsvergunning | Vergunning beschikbaar |
Uitrusting
| Investeringspand | Nee |
|---|---|
| Rioolaansluiting | Nee |
| Gasaansluiting | Nee |
| Wateraansluiting | Nee |
| Elektriciteitsaansluiting | Nee |
| TV aansluiting | Nee |
| Internetaansluiting | Nee |
| Telefoonaansluiting | Nee |